Te koop Perceel grond in woonzone, ± 10are...

Beschrijving van   

Vergelijk realty's

Te koop Perceel grond in woonzone, ± 10are...

Perceel grond in woonzone, ± 10are... Perceel grond in woonzone, ± 10are... Perceel grond in woonzone, ± 10are... Perceel grond in woonzone, ± 10are...
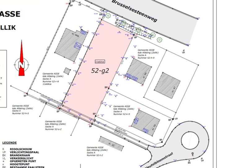
VALIMMAS verkoopt dit perceel grond in woonzone. Oppervlakte ± 10 are. Breedte ± 20m. Diepte ± 50m. Het perceel heeft momenteel een oppervlakte van 11 are 02 ca, waarvan ± 100m² dient afgestaan te worden aan de gemeente voor de aanleg/verlenging van de openbare weg (er blijft bijgevolg nog ± 1.000m² over).
Type vastgoed Grond
Prijs 259.000