Te koop Bouwgrond

Beschrijving van   

Vergelijk realty's

Te koop Bouwgrond

Bouwgrond Bouwgrond
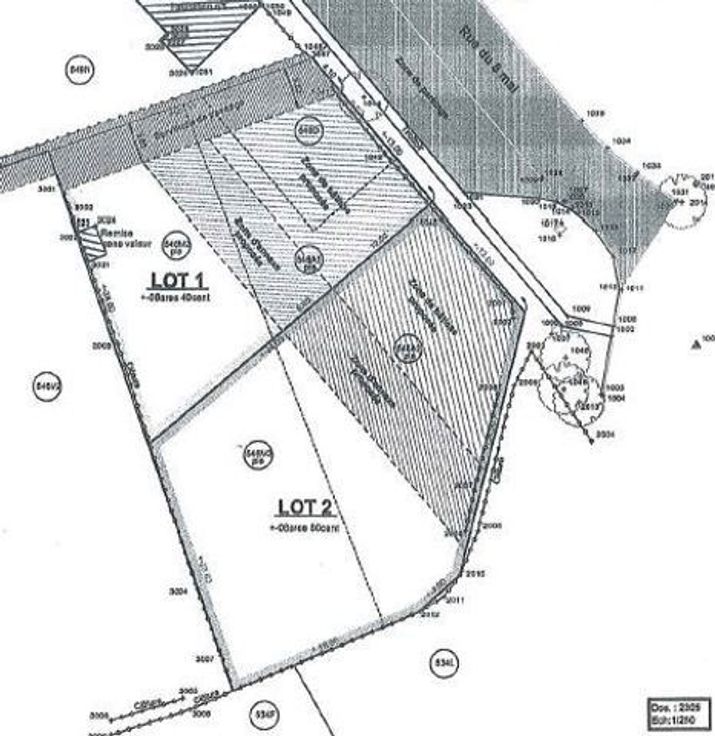
Réf.: 2311. Beau terrain à bâtir de 8 ares idéalement situé au calme à Havré! Terrain en zone d'habitat au plan de secteur et cadastré  section B 546 X2. Il mesure 13 mètres de façade sur ±34 mètres de profondeur! Belle opportunité à saisir! Faire offre à partir de 90.000,00€. Informations communiquées à titre indicatif et non contractuel. Les propriétaires se réservent le droit d'apprécier la hauteur et la qualité des offres. N’hésitez pas à visiter notre site internet : www.century21-performance.be. Nous sommes constamment à la recherche de nouveaux biens pour nos clients en attente, n'hésitez pas à nous contacter au 065/460.000 pour UNE ESTIMATION GRATUITE ET SANS ENGAGEMENT! Concernant le choix de l'acquéreur; les critères de sélection du propriétaire ne sont pas uniquement le prix. Le choix reste à l'appréciation de ce dernier qui seul, en décidera.
Type vastgoed Grond
Prijs 90.000