Te koop Grond

Beschrijving van   

Vergelijk realty's

Te koop Grond

Grond Grond Grond Grond
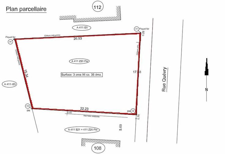
Terrain batissable de 396 m² situé en zone d’habitat dans le village de Luttre ! 3 ares 96 ca de terrain, proche de toutes commodités, environnement calme. Faire offre à partir de 115 000 €, offre sous réserve d’acceptation des propriétaires ! Infos et visites au 071 16 53 35.
Type vastgoed Grond
Prijs 115.000