Te koop Bouwgrond van 8m breed zonder bouwverplich...

Beschrijving van   

Vergelijk realty's

Te koop Bouwgrond van 8m breed zonder bouwverplichting.

Bouwgrond van 8m breed zonder bouwverplichting. Bouwgrond van 8m breed zonder bouwverplichting. Bouwgrond van 8m breed zonder bouwverplichting. Bouwgrond van 8m breed zonder bouwverplichting.
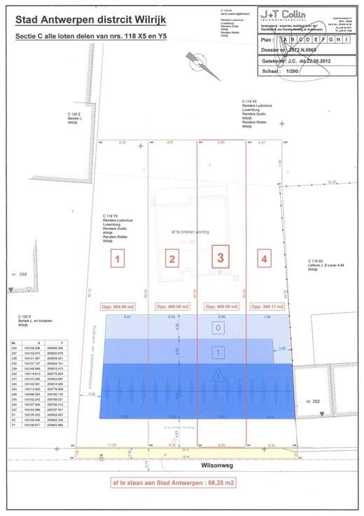
In een doodlopende straat te Wilrijk vinden we deze bouwgrond met een straatbreedte van 8m. De mogelijkheid tot bouwen van een rijwoning onder de standaardvoorschriften van glv 17m, v1 13m, v2 (zadeldak) 9m. - Garage mogelijk - Voortuin/oprit mogelijk - Achteraan omgeving met landelijk karakter Benieuwd naar dit pand? Kom niet TE LAET en maak snel uw afspraak op www.immodelaet.be of op 036440088
Type vastgoed Grond
Prijs 219.000