Te koop Oudenaarde - Weldenstraat

Beschrijving van   

Vergelijk realty's

Te koop Oudenaarde - Weldenstraat

Oudenaarde - Weldenstraat
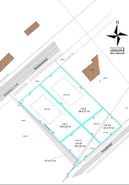
Ontdek deze unieke kans: bouwgrond te koop in Oudenaarde aan de Weldenstraat, bestaande uit twee percelen van respectievelijk 1361m² en 1337m². Geniet van het prachtige open zicht op de velden, perfect voor het realiseren van jouw droomvilla. Of je nu kiest voor een volledig afgewerkte woning, klaar om in te trekken met sleutel-op-de-deur service, of de voorkeur geeft aan een ruwbouw wind- en waterdicht om zelf te personaliseren, de mogelijkheden zijn eindeloos. Grijp deze kans en maak van deze bouwgrond jouw eigen stukje paradijs. Neem contact met ons op voor meer informatie. Renovatieplicht: onbekend
Type vastgoed Grond
Prijs 250.000