Te koop COMMERCIEEL gelegen GROND met POTENTIEEL (...

Beschrijving van   

Vergelijk realty's

Te koop COMMERCIEEL gelegen GROND met POTENTIEEL (2959m2)!

COMMERCIEEL gelegen GROND met POTENTIEEL (2959m2)! COMMERCIEEL gelegen GROND met POTENTIEEL (2959m2)! COMMERCIEEL gelegen GROND met POTENTIEEL (2959m2)! COMMERCIEEL gelegen GROND met POTENTIEEL (2959m2)! COMMERCIEEL gelegen GROND met POTENTIEEL (2959m2)!
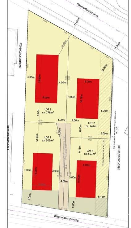
SUPER GELEGEN BOUWGROND van 2959m2! Straatbreedte van 35m, geeft uit op 2 straten. Ideaal voor ZELFSTANDIGEN of VRIJE BEROEPEN: GEZINSWONING + uitbreiding van 30% voor handel, diensten en kantoren, of als PROJECT: reeds verkaveld in 4 loten. Meer info IMMO BEGUIN: 0486 606 600.
Type vastgoed Grond
Prijs 775.000