Te koop Bouwgrond

Beschrijving van   

Vergelijk realty's

Te koop Bouwgrond

Bouwgrond Bouwgrond Bouwgrond Bouwgrond
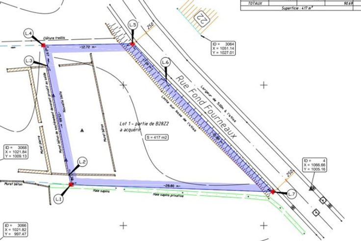
Idéalement situé dans le village très apprécié de Marchin, parcelle de terrain située en zone d'habitat et disposant d'une superficie de 417 m². Largeur à rue : +- 29m. Libre de constructeur ! Possibilité construction unifamiliale 4 façades ! Environnement calme et rural (petite rue à sens unique) à proximité des facilités (école, bus, commerces de proximité) et à 10 min du centre de Huy. PRIX : 50.000 €. Informations données à titre indicatives et non contractuelles. Cette annonce ne constitue pas une offre.
Type vastgoed Grond
Prijs 50.000