Te koop Bouwgrond geschikt voor halfopen bebouwing...

Beschrijving van   

Vergelijk realty's

Te koop Bouwgrond geschikt voor halfopen bebouwing te Aalst!

Bouwgrond geschikt voor halfopen bebouwing te Aalst! Bouwgrond geschikt voor halfopen bebouwing te Aalst! Bouwgrond geschikt voor halfopen bebouwing te Aalst! Bouwgrond geschikt voor halfopen bebouwing te Aalst! Bouwgrond geschikt voor halfopen bebouwing te Aalst!
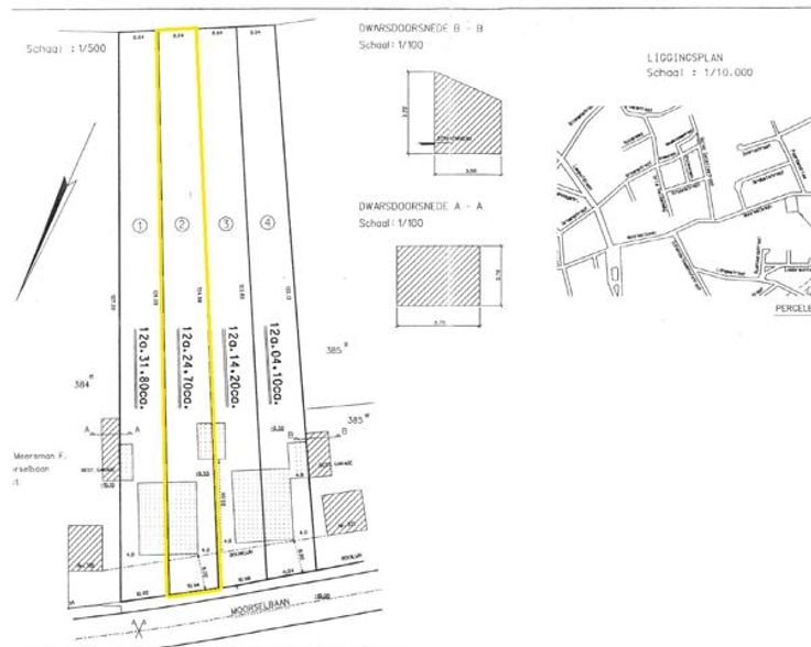
Dit perceel, gelegen in een goedgekeurde verkaveling, heeft een oppervlakte van zo'n 1198 m² en is geschikt voor het creëren van een halfopen woning. De bouwdiepte bedraagt 18 meter op het gelijkvloers en 12 meter op de verdieping, rekening houdend met zijdelingse bouwvrije strook van 4 meter. Garage/bijgebouw van max. 40m² is mogelijk. Volgende voorschriften zijn o.a. van toepassing: max. 1 verdieping toegestaan, voorzien van een zadel- of schilddak met helling van 45°, maximale kroonlijsthoogte bedraagt 6 meter en tuinhuis is toegestaan. Meer info omtrent de bouwmogelijkheden te verkrijgen op kantoor.  Deze grond bestaat uit 2 percelen waarbij het perceel aan de straatzijde gelegen is in woongebied met als perceelscore A (geen overstroming gemodelleerd) en het achtergelegen perceel zich bevindt in parkgebied met P-score C.  Interesse? Neem contact op met Tijl via tijl@immotijl.be of bel 0477 44 86 11 voor meer informatie!
Type vastgoed Grond
Prijs 198.000