Te koop Residentieel gelegen bouwgrond in Zonhoven

Beschrijving van   

Vergelijk realty's

Te koop Residentieel gelegen bouwgrond in Zonhoven

Residentieel gelegen bouwgrond in Zonhoven Residentieel gelegen bouwgrond in Zonhoven Residentieel gelegen bouwgrond in Zonhoven Residentieel gelegen bouwgrond in Zonhoven Residentieel gelegen bouwgrond in Zonhoven Residentieel gelegen bouwgrond in Zonhoven Residentieel gelegen bouwgrond in Zonhoven Residentieel gelegen bouwgrond in Zonhoven Residentieel gelegen bouwgrond in Zonhoven
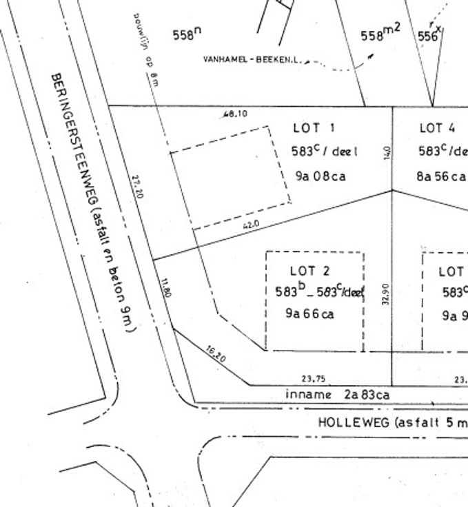
Residentieel gelegen bouwgrond voor een open bebouwing met een perceelgrootte van 9are 66ca en een straatbreedte van 19,50m. De verkavelingsvoorschriften zijn als volgt: Bouwdiepte: max 14 meter + 3 meter voor de aanhorigheden (de aanhorigheden dienen met de hoofdbouw één harmonisch geheel te vormen) Bouwhoogte: aantal volwaardige bouwlagen: 1 (onder de kroonlijst) en hoogte begrepen tussen 3 meter en 3,5 meter (tussen wegpeil en kroonlijst) Dakhelling: begrepen tussen 25° en 40° Bouwbreedte: minimum afstand tot de zijdelingse perceelsgrenzen; maximale breedte van debebouwing op 2/3e van de kavelbreedte gesteld. Maximale breedte niet meer dan 20m. De volledige verkaveling is beschikbaar op aanvraag. De bouwgrond is centraal gelegen op een boogscheut van het centrum van Zonhoven, in de nabijheid van scholen, winkels en openbaar vervoer en met een vlotte verbinding naar de invalswegen.
Type vastgoed Grond
Prijs 199.500