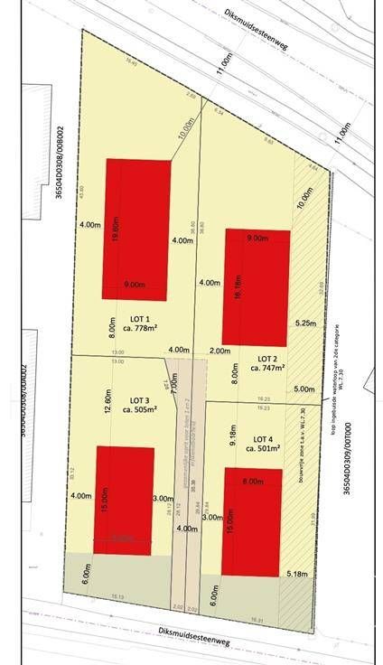
Te koop Goedgelegen BOUWGROND van 747m2!

Beschrijving van   

Vergelijk realty's

Te koop Goedgelegen BOUWGROND van 747m2!

Goedgelegen BOUWGROND van 747m2! Goedgelegen BOUWGROND van 747m2! Goedgelegen BOUWGROND van 747m2! Goedgelegen BOUWGROND van 747m2! Goedgelegen BOUWGROND van 747m2!
SUPER GELEGEN BOUWGROND van 747m2! Meer info IMMO BEGUIN: 0486 606 600.
Type vastgoed Grond
Prijs 195.000