Te koop Bouwgrond 3/4 voorgevel huis

Beschrijving van   

Vergelijk realty's

Te koop Bouwgrond 3/4 voorgevel huis

Bouwgrond 3/4 voorgevel huis Bouwgrond 3/4 voorgevel huis Bouwgrond 3/4 voorgevel huis Bouwgrond 3/4 voorgevel huis
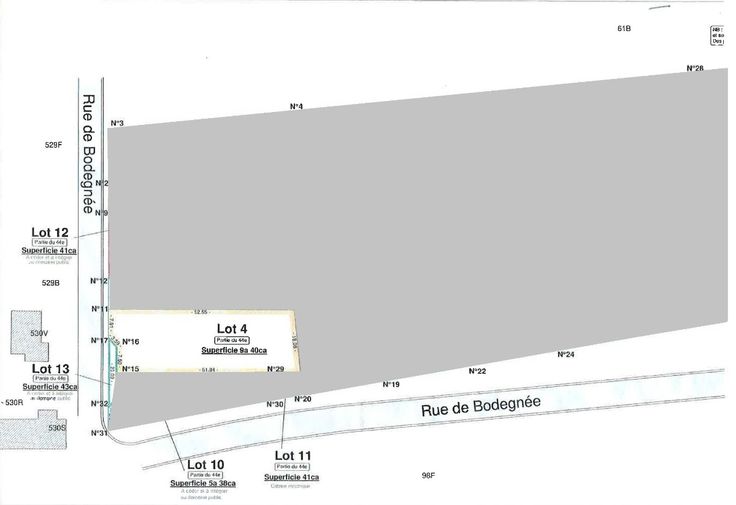
Geweldige kans, in het mooie dorpje Fize-Fontaine: 3 vlakke bouwpercelen!  Kavel 4: 940 m2 (+- 18 m x 50 m).  Kies je levensstijl, 3 of 4 voorhuizen, en laat je fantasie de vrije loop met Construction 2000. Bovendien profiteer je van gemakkelijke toegang tot de snelwegen, zodat je je gemakkelijk kunt verplaatsen. Mis deze unieke kans niet om het huis van je dromen te bouwen. Planningsspecificaties beschikbaar op aanvraag. AANBOD VANAF €79.000,00, onder voorbehoud van aanvaarding door de eigenaren. Deze informatie is alleen bedoeld als richtlijn en niet bindend. Neem nu contact met ons opvoor meer informatie!
Type vastgoed Grond
Prijs 79.000