Te koop Bouwgrond

Beschrijving van   

Vergelijk realty's

Te koop Bouwgrond

Bouwgrond
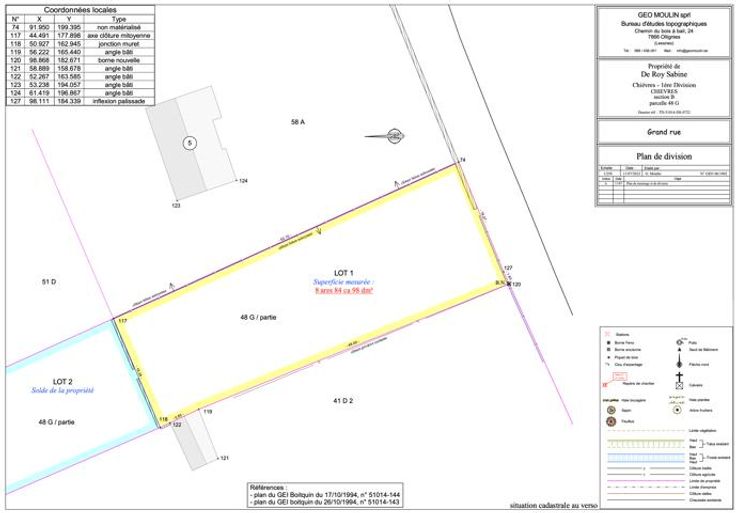
Alliance Partners vous présente un terrain à bâtir idéalement situé dans un environnement calme. * Caractéristiques du Terrain (lot 1 : sous liseré jaune sur le plan de géomètre) : * Superficie de 8,85 ares. * Présence d'égouttage, d'électricité, d'internet et d'arrivée d'eau. * Largeur à rue : 16,27 mètres. * Largeur au fond : 16,28 mètres. * Profondeur : 49,05 mètres. Prix indicatif : 80.000 euros C'est l'opportunité parfaite pour construire la maison de vos rêves dans un cadre paisible tout en bénéficiant de toutes les commodités nécessaires à proximité. Planifiez une visite dès aujourd'hui ! Contactez-nous dès maintenant au 065/32.11.11 pour obtenir plus d'informations sur ce terrain. Ne manquez pas cette chance unique de réaliser votre projet immobilier dans un cadre idéale à Chièvres !
Type vastgoed Grond
Prijs 80.000