Te koop Handelszaak

Beschrijving van   

Vergelijk realty's

Te koop Handelszaak

Handelszaak Handelszaak Handelszaak Handelszaak Handelszaak Handelszaak Handelszaak Handelszaak Handelszaak Handelszaak Handelszaak Handelszaak Handelszaak Handelszaak
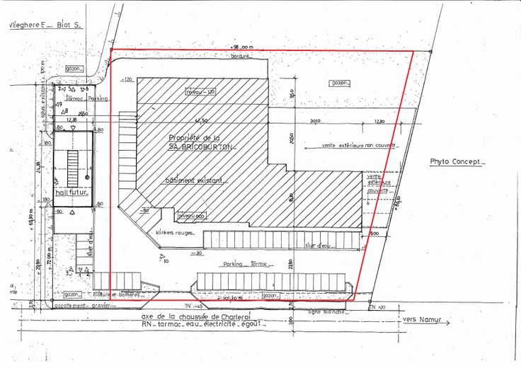
Grande surface commerciale A VENDRE à Fosses-la-Ville Auparavant occupé par l’enseigne Mr Bricolage Composition : Surface commerciale +/- 2.400 m² +/- 100 m²bureaux Cour extérieure +/- 1.500 m Parking clients de 60 places Equipement : Portes sectionnelle + quai de déchargement désservant plusieurs zones de livraison /entreposage intérieur Zone de stockage extérieure HSP variable allant de 3,2m à 5m 2 chaudières mazout avec citerne 5.000 litres – Chauffage par aérothermes (surface commerciale) Modalités de la vente : Faire offre àpd 2.100k eur Option : 9.474 m² de terres agricoles (Matrice cadastrale adjacente G96t) Restrictions imposées / Activités non autorisée par le vendeur : Négoce de matériaux, magasin de bricolage, Garden center ou assimilés Notre avis Visibilité Accessibilité et parking XXLLocalisation en bordure de N98 Vos voisins proches sont Mr BRICOLAGE, CARREFOUR MARKET, MAZUIN ,…
Type vastgoed Commercieel
Prijs 2.100.000
Bewoonbare opp. 2500