Te koop Unieke projectgrond met bestaand pand, uit...

Beschrijving van   

Vergelijk realty's

Te koop Unieke projectgrond met bestaand pand, uitbreidingsmogeli...

Unieke projectgrond met bestaand pand, uitbreidingsmogeli... Unieke projectgrond met bestaand pand, uitbreidingsmogeli... Unieke projectgrond met bestaand pand, uitbreidingsmogeli...
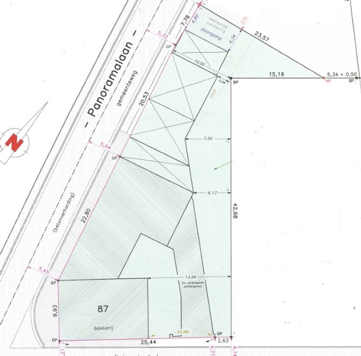
Op slechts 200 meter van het charmante dorpsplein van Nieuwrode bevindt zich deze veelzijdige projectgrond, inclusief de verhuurde panden en een extra bebouwbaar perceel. Dit is dé kans voor investeerders en projectontwikkelaars die op zoek zijn naar een rendabele investering met ruimte voor renovatie of uitbreiding. Wat biedt dit project? Het bestaande pand genereert stabiele huurinkomsten en omvat: Twee duplexappartementen (beide verhuurd) Eén studio (verhuurd) Een voormalige bakkerij, momenteel verhuurd als kinderopvang (FERM) Een ruime hangaar Extra bouwgrond met diverse mogelijkheden Uitbreidings- en renovatiemogelijkheden: ->Architecturale plannen voor de ontwikkeling van assistentiewoningen zijn reeds beschikbaar. ->Renovatie van de bestaande eenheden kan het rendement verder verhogen. Het ruime perceel biedt flexibele opties voor uitbreidingen of nieuwe projecten, afhankelijk van uw visie. Troeven van deze locatie: Centraal gelegen, op wandelafstand van alle essentiële voorzieningen. Reeds stabiele inkomsten uit verhuurde eenheden. Extra bouwgrond en renovatiepotentieel voor een toekomstgerichte investering. Dit project combineert bestaande inkomsten, ruimte voor modernisering en de mogelijkheid tot uitbreiding, wat het ideaal maakt voor projectontwikkelaars of investeerders met ambitie. Interesse? Neem contact met ons op voor meer informatie of een afspraak ter plaatse! Renovatieplicht: ja
Type vastgoed Commercieel
Prijs 845.000