Te koop Grond

Beschrijving van   

Vergelijk realty's

Te koop Grond

Grond Grond Grond
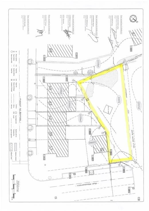
Sorry er is geen nederlandse vertaling beschikbaar. UCCLE!!! Terrain de 5 ares 50 situé dans une petit rue en cul de sac à proximité de toutes les commodités (transports, commerces, écoles). Ce terrain est idéal pour la construction d'une maison 3 façades ( 7 m x 15 m au rez et 7 m x 12 m au 1er étage/2ème étage + combles) Infos et visites au 0488/33.32.32 et au 02/380.79.60. See more properties on www.immolinkebeek.be
Type vastgoed Grond
Prijs 295.000