Te koop Bouwgrond

Beschrijving van   

Vergelijk realty's

Te koop Bouwgrond

Bouwgrond Bouwgrond Bouwgrond Bouwgrond Bouwgrond Bouwgrond Bouwgrond Bouwgrond
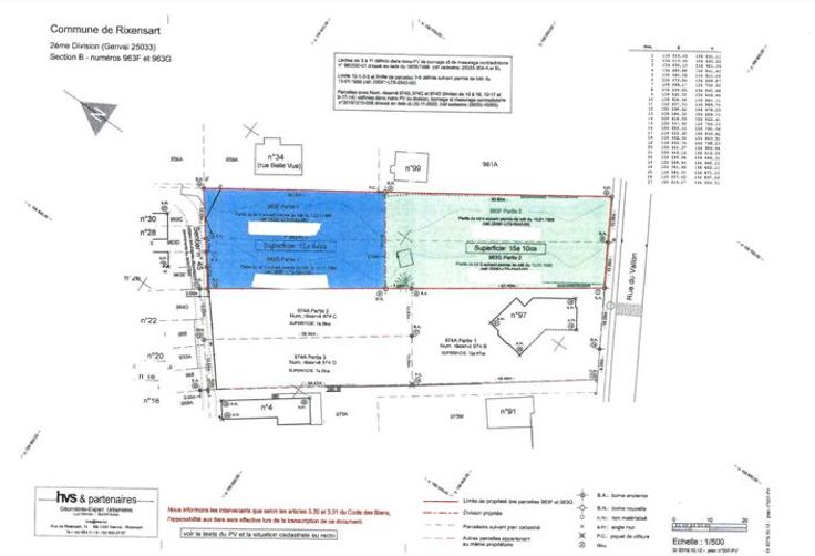
Vous êtes à la recherche de l’endroit parfait pour votre projet ? Découvrez nos trois magnifiques terrains à vendre situés dans la région prisée de Genval. Terrain de 12 ares 64 centiares (12a 64ca) : idéal pour des projets spacieux et ambitieux. prix : 350.000 €  Deux terrains de 7 ares 29 centiares (7a 29ca chacun) : parfaits pour des projets de taille moyenne, ou possibilité de les louer ensemble pour plus d'espace. Prix : 220.000 €/ terrain Ces terrains bénéficient d’un emplacement privilégié, offrant un cadre verdoyant et une accessibilité optimale. Pour plus d’informations ou pour organiser une visite, n’hésitez pas à nous contacter. 0471/86.27.32 ou tv@immo-wauters.be
Type vastgoed Grond
Prijs 220.000