Te koop 2 percelen bouwgrond

Beschrijving van   

Vergelijk realty's

Te koop 2 percelen bouwgrond

2 percelen bouwgrond 2 percelen bouwgrond 2 percelen bouwgrond 2 percelen bouwgrond
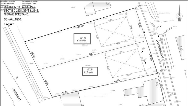
Deze 2 mooie bouwpercelen van respectievelijk 1087m² en 1035m² bieden een unieke kans om uw droomwoning te realiseren, op een rustige locatie en toch vlak bij het centrum van Deerlijk. Lot 1 = 267.000€ en Lot 2 : 254.000€ Beide percelen zijn ideaal zuidwest georiënteerd, wat zorgt voor optimale lichtinval en een zonnige tuin gedurende de hele dag. Omdat er geen bouwverplichting is, geniet u van volledige vrijheid om te bouwen wanneer en hoe u wilt. Dit maakt de gronden geschikt voor zowel directe bouwplannen als een waardevolle investering voor de toekomst. Rekeninghoudende met de vrije zijstroken blijft alsnog een mooie breedte beschikbaar als façade voor uw droomvilla. De reeds aanwezige jonge bomen aan de achterzijde zullen op termijn zorgen voor een natuurlijke, groene omkadering. Dit biedt u straks een heerlijk gevoel van privacy en een prachtig groen uitzicht, zonder bijkomende aanlegwerken. Meer info ? Contacteer Peter : 0496/176878 of peter@immotaelman.be   Renovatieplicht: onbekend
Type vastgoed Grond
Prijs 254.000