Te koop Centraal gelegen bouwgrond met zuidelijke ...

Beschrijving van   

Vergelijk realty's

Te koop Centraal gelegen bouwgrond met zuidelijke oriëntering

Centraal gelegen bouwgrond met zuidelijke oriëntering Centraal gelegen bouwgrond met zuidelijke oriëntering Centraal gelegen bouwgrond met zuidelijke oriëntering Centraal gelegen bouwgrond met zuidelijke oriëntering Centraal gelegen bouwgrond met zuidelijke oriëntering Centraal gelegen bouwgrond met zuidelijke oriëntering Centraal gelegen bouwgrond met zuidelijke oriëntering
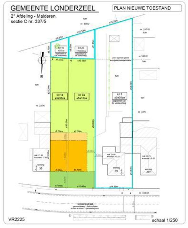
Centraal en rustig gelegen bouwgronden met zuidelijke oriëntering in Malderen. Lot 2A + 2B betreft het lot voor half-open bebouwing en heeft een totale oppervlakte van 6 are 15 ca. De bouwdiepte bedraagt maximaal 15 meter op het gelijkvloers en maximaal 12 meter op de verdieping. Omgevingsvergunning voor het verkavelen van gronden werd reeds verleend. Wenst u een GRATIS SCHATTING van uw eigendom of extra informatie? Contacteer IMMO ARTHUR SEGERS via info@arthur.be of 052/46.00.00.
Type vastgoed Grond
Prijs 250.000