Te koop Bouwgrond

Beschrijving van   

Vergelijk realty's

Te koop Bouwgrond

Bouwgrond Bouwgrond Bouwgrond Bouwgrond Bouwgrond Bouwgrond Bouwgrond Bouwgrond
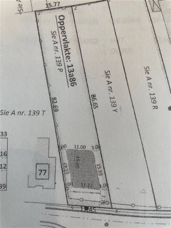
De knappe bouwgrond van 17,45 meter breed en ongeveer 85 meter diep is ideaal gelegen te Attenhoven, op een boogscheut van het centrum en station van Landen, met vlotte verbinding richting E40 Luik -Brussel. Toch is hij zeer landelijk gelegen met knappe groene uitzichten en extra mogelijkheden qua bijgebouwen omdat de achterzijde deels in woonuitbreidingsgebied ligt. Garage kan onderin in de talud gestoken worden en 2 woonlagen met plat dak zijn toegelaten, met een diepte van 15 meter op het verdiep en 12 voor de extra laag, De grond komt niet uit een verkaveling. Stedenbouwkundig attest werd aangevraagd en goedgekeurd maar is ondertussen wel vervallen. Een ontwerp werd reeds uitgetekend maar nog niet ingediend voor vergunning. Knap gelegen, en mogelijkheden troef!
Type vastgoed Grond
Prijs 139.000