Te koop Prachtige bouwgrond van 1803m2 voor open b...

Beschrijving van   

Vergelijk realty's

Te koop Prachtige bouwgrond van 1803m2 voor open bebouwing te Olmen

Prachtige bouwgrond van 1803m2 voor open bebouwing te Olmen Prachtige bouwgrond van 1803m2 voor open bebouwing te Olmen Prachtige bouwgrond van 1803m2 voor open bebouwing te Olmen Prachtige bouwgrond van 1803m2 voor open bebouwing te Olmen Prachtige bouwgrond van 1803m2 voor open bebouwing te Olmen Prachtige bouwgrond van 1803m2 voor open bebouwing te Olmen Prachtige bouwgrond van 1803m2 voor open bebouwing te Olmen
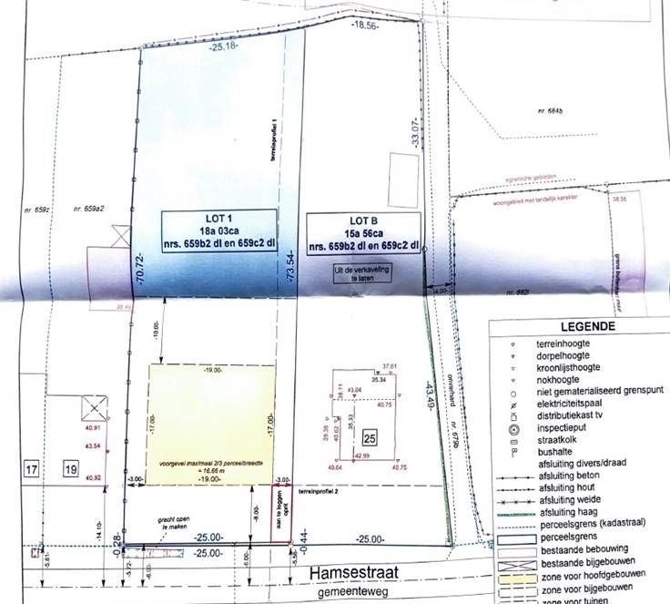
Ontdek deze prachtige bouwgrond van 1803m² gelegen in het charmante Olmen. Dit perceel biedt een unieke kans voor wie droomt van het bouwen van een vredig toevluchtsoord in een rustige omgeving. De uitgebreide oppervlakte biedt tal van ontwerp- en bouwmogelijkheden, perfect voor het realiseren van uw droomwoning met royale tuin. Gelegen in een aangename buurt, verzekert deze grond zowel privacy als toegankelijkheid. De nabijheid van lokale voorzieningen, scholen en openbaar vervoer maakt dit een ideale plek voor gezinnen en professionals die balans zoeken tussen werk en privé. Dit bouwperceel is omgeven door groen en biedt een adembenemend uitzicht op de omliggende natuur. De serene sfeer en het landelijke karakter zorgen voor een ideale setting om te genieten van rust en ontspanning. Met toegestane bouwafmetingen van 19 meter breed en 17 meter diep (samen met een kroonlijst van 7 meter en een max. nokhoogte van 11 meter), biedt deze bouwgrond de perfecte backdrop voor een huis dat even groots is in uitstraling als in ontwerp. Bouwvoorschriften kan u steeds downloaden op onze website www.matimmovastgoed.be Grijp de kans en start met plannen voor uw toekomstige huis op deze uitzonderlijke locatie. Neem vandaag nog contact met ons op voor meer informatie of om een bezichtiging te plannen. Uw droomproject begint hier in Olmen!
Type vastgoed Grond
Prijs 199.000