Te koop Bouwgrond vrijstaande woning te koop in Wa...

Beschrijving van   

Vergelijk realty's

Te koop Bouwgrond vrijstaande woning te koop in Waasmunster - Baree

Bouwgrond vrijstaande woning te koop in Waasmunster - Baree Bouwgrond vrijstaande woning te koop in Waasmunster - Baree Bouwgrond vrijstaande woning te koop in Waasmunster - Baree Bouwgrond vrijstaande woning te koop in Waasmunster - Baree
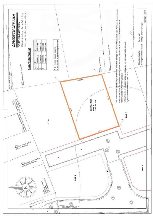
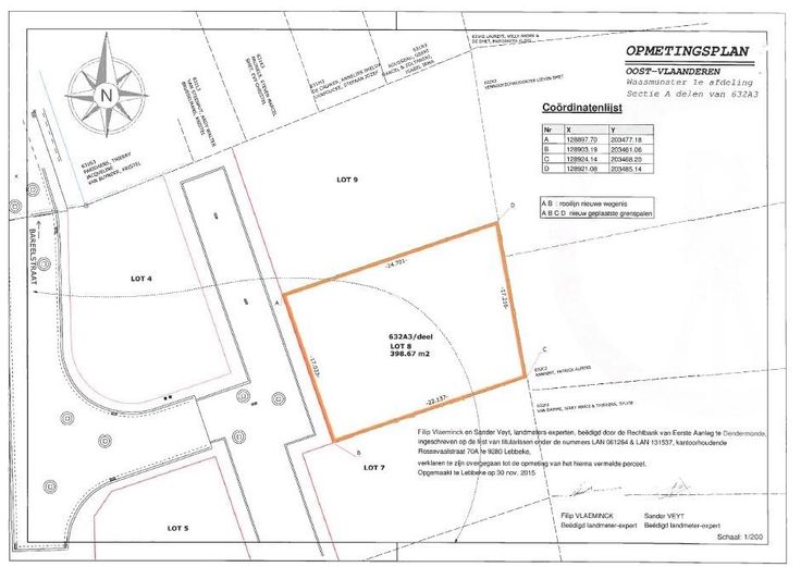
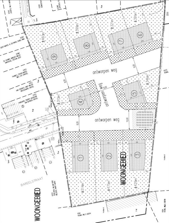
In een rustige verkaveling, Bareelstraat te Waasmunster, bieden wij een prachtig perceel bouwgrond aan en dit "zonder bouwverplichting". Met een oppervlakte van 399m² biedt deze bouwgrond voldoende ruimte voor het realiseren van uw eigen vrijstaande woning. De ligging van deze grond is ideaal voor wie houdt van rust en natuur. Aan de rand van Belsele en Sinaai zijn er tal van mooie wandel- en fietsroutes te ontdekken. Bovendien bevindt het perceel zich vlakbij het station van Belsele en de E17, waardoor u een vlotte verbinding heeft met steden als Antwerpen en Gent. Daarnaast zijn er in de omgeving van deze bouwgrond ook verschillende restaurants en winkels te vinden. Tevens is er de mogelijkheid tot volledige afwerking van uw woning. Vraag gerust naar onze voorwaarden en ontdek wat er allemaal mogelijk is. Kortom, deze bouwgrond in Waasmunster biedt u de perfecte combinatie van rust, natuur en bereikbaarheid. Een ideale plek om uw eigen thuis te creëren. Neem snel contact op en laat u informeren over de mogelijkheden.
Type vastgoed Grond
Prijs 195.000