Te koop bouwgrond

Beschrijving van   

Vergelijk realty's

Te koop bouwgrond

bouwgrond bouwgrond
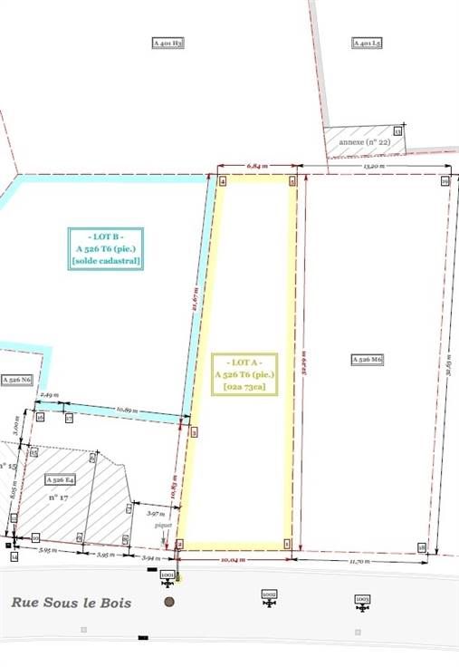
Sorry er is geen nederlandse vertaling beschikbaar. AUVELAIS - Rue sous le Bois à côté du 17 : Terrain (LOT A - liseré jaune au plan de géomètre) d'une superficie de 2 ares 73 centiares situé dans une rue calme d'Auvelais à proximité de toutes commodités. Largeur façade : +/-10.04m et profondeur : +/-31m. La parcelle cadastrée section A, partie du numéro 526 t 6 P0000. FAIRE OFFRE A PARTIR DE : 17.000 euros. Sous réserve d'acceptation des propriétaires.
Type vastgoed Grond
Prijs 17.000