Te koop Knappe bouwgrond voor halfopen bebouwing

Beschrijving van   

Vergelijk realty's

Te koop Knappe bouwgrond voor halfopen bebouwing

Knappe bouwgrond voor halfopen bebouwing Knappe bouwgrond voor halfopen bebouwing Knappe bouwgrond voor halfopen bebouwing
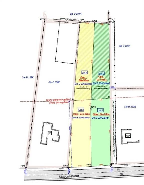
Deze mooie bouwgrond (7a 48ca, weergegeven als lot 2) is gelegen aan een zeer rustige straat in het landelijke Glabbeek en biedt de mogelijkheid om een halfopen bebouwing te realiseren. De voorschriften laten u toe twee bouwlagen te crëeren met een bouwdiepte van maximaal 15m op de gelijkvloerse verdieping en 12m op het eerste verdiep. Dankzij de straatbreedte is een gevelbreedte tot maar liefst 11,62m mogelijk! Ook een bijgebouw van max. 40m² is mogelijk in de tuinzone. Zowel aan de voor- als achterzijde kan je uitkijken op de landelijke velden en geniet je van een weids uitzicht. Een ideale plek voor elke liefhebber van rust, natuur en privacy. Een bijkomende troef is dat je ondanks de rustige ligging toch vlotte bereikbaarheid hebt naar het centrum van Glabbeek en Kapellen. Lijkt dit perceel datgene waar je al een tijdje naar op zoek bent? Contacteer ons meteen via 0470 55 64 24 of info@immolivit.be voor verdere info!
Type vastgoed Grond
Prijs 167.500