Te koop Perceel bouwgrond voor open bebouwing met ...

Beschrijving van   

Vergelijk realty's

Te koop Perceel bouwgrond voor open bebouwing met prachtig uitzicht…

Perceel bouwgrond voor open bebouwing met prachtig uitzicht… Perceel bouwgrond voor open bebouwing met prachtig uitzicht… Perceel bouwgrond voor open bebouwing met prachtig uitzicht… Perceel bouwgrond voor open bebouwing met prachtig uitzicht… Perceel bouwgrond voor open bebouwing met prachtig uitzicht… Perceel bouwgrond voor open bebouwing met prachtig uitzicht… Perceel bouwgrond voor open bebouwing met prachtig uitzicht… Perceel bouwgrond voor open bebouwing met prachtig uitzicht… Perceel bouwgrond voor open bebouwing met prachtig uitzicht…
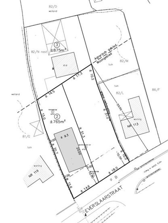
Dit perceel bouwgrond met prachtig uitzicht over de achterliggende weilanden, is gelegen in een landelijke en rustige omgeving met een goede verbinding naar de voorname wegen. Hierdoor biedt deze locatie de perfecte balans tussen rust en toegankelijkheid. De troeven van dit perceel zijn de omgeving, de privacy en de uitstekende bereikbaarheid. Met een perceeloppervlakte van 765 m², een straatbreedte van 14,6 m en een diepte van 51,3 m heeft dit perceel gunstige verhoudingen om een open bebouwing met carport te creëren. Aanpalend en achterliggend aan het perceel kan een stuk tuin van +/- 300 m² mee aangekocht worden. Dit perceel is niet gelegen in een overstromingsgevoelig gebied. Er geldt geen bouwverplichting. Een bezoek ter plaatse kan steeds. Bijkomende informatie en bezoeken via 03 283 85 85 of info@maisonceline.be.
Type vastgoed Grond
Prijs 268.500