Te koop Bouwgrond voor halfopen bebouwing

Beschrijving van   

Vergelijk realty's

Te koop Bouwgrond voor halfopen bebouwing

Bouwgrond voor halfopen bebouwing Bouwgrond voor halfopen bebouwing Bouwgrond voor halfopen bebouwing Bouwgrond voor halfopen bebouwing
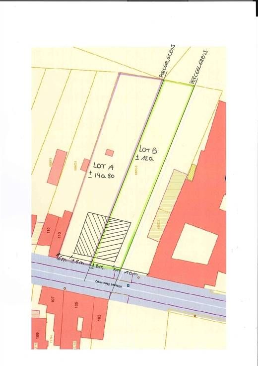
RICHTPRIJS: 95.000,00 EURO (per bouwgrond) BESCHRIJVING: Welkom in de rustieke charme van Heers, waar landelijk leven en moderne voorzieningen samenkomen. Gelegen aan de Nieuwe Steenweg met uitzicht op het agrarische landschap, bieden deze gronden een idyllische setting, terwijl het toch dicht bij het centrum van Heers ligt. Bent u op zoek naar de perfecte locatie voor uw droomhuis? Wij bieden twee bouwgronden te koop aan, ideaal geschikt voor halfopen bebouwing. Deze gronden bieden een unieke kans om te wonen in een rustige en groene omgeving, met voldoende ruimte voor uw gezin en een mooie tuin. Beschikbare projectgronden: 1.bouwgrond LOT A - Oppervlakte: ± 14a 80ca / 2.bouwgrond LOT B - Oppervlakte: ± 12a. De vermelde oppervlakten zijn bij benadering en in afwachting van een definitief landmetersplan. Elke grond biedt voldoende ruimte voor een ruime halfopen bebouwing met een tuin. Verkoopvoorwaarden: De gronden worden te koop aangeboden onder opschortende voorwaarde van verkavelingsvergunning. Dit betekent dat de verkoop pas definitief is zodra de verkavelingsvergunning is verleend, wat u de zekerheid geeft dat alles juridisch in orde is. Waarom kiezen voor deze bouwgronden? ·Rustige Ligging: Gelegen in een vredige buurt, ideaal voor gezinnen. ·Ruimte en Privacy: Genoeg oppervlakte om een comfortabel huis met tuin te bouwen. ·Toekomstgerichte Investering: De gronden bieden een uitstekende kans voor zowel wonen als investeren. Voor meer informatie of om een afspraak te m
Type vastgoed Grond
Prijs 95.000