Te koop Bouwgrond (374m²) voor OB met 18m straatbr...

Beschrijving van   

Vergelijk realty's

Te koop Bouwgrond (374m²) voor OB met 18m straatbreedte op uitsteke

Bouwgrond (374m²) voor OB met 18m straatbreedte op uitsteke Bouwgrond (374m²) voor OB met 18m straatbreedte op uitsteke Bouwgrond (374m²) voor OB met 18m straatbreedte op uitsteke Bouwgrond (374m²) voor OB met 18m straatbreedte op uitsteke Bouwgrond (374m²) voor OB met 18m straatbreedte op uitsteke Bouwgrond (374m²) voor OB met 18m straatbreedte op uitsteke Bouwgrond (374m²) voor OB met 18m straatbreedte op uitsteke
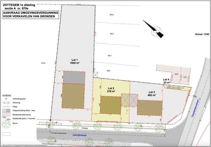
Dit mooi en betaalbaar perceel bouwgrond van het type open bebouwing geniet een zeer centrale ligging, aan de stadsrand van Zottegem en vlakbij de Langestraat en de N42. In de onmiddellijke omgeving bevinden zich allerlei winkels (in Langestraat en Godveerdegemstraat), de sport- en ontspanningsfaciliteiten van de Bevegemse Vijvers, het ziekenhuis EZ Sint-Elisabeth, het station van Zottegem, ... De grond heeft een totale oppervlakte van 374 m² (lot 2 volgens P.V. van opmeting), een straatbreedte van 18m en een perceeldiepte van +/- 21m. De gunstige bouwvoorschriften geven de koper veel vrijheid naar bouwstijl, type daken, nokhoogte, bijgebouwen, terrassen, ... De belangrijkste bouwvoorschriften op een rij: - Bouwlijn minimaal 4m achter rooilijn - Zijdelingse bouwvrije stroken van 4m - Achtertuinstrook van minimaal 8m - Bouwbreedte beperkt tot maximaal 10m - Bouwdiepte gelijkvloers maximaal 16m en verdieping maximaal 12m - Bouw aparte garage/carport mogelijk - Bouw tuinberging mogelijk van maximaal 12m² (aansluitend aan garage/carport) BETAALBARE GROND OP TOPLIGGING. DE IDEALE MIX TUSSEN EEN ALLEENSTAANDE EN RUIME WONING MET EEN COMPACTE DOCH AANGENAME TUIN. De foto's en luchtbeelden zijn louter informatief en kunnen geen verhaal doen ontstaan, de exacte maten en oppervlaktes zijn op het verkavelingsplan te vinden. Woongebied, geen vergunning, verkavelingsvergunning, geen voorkooprecht, geen rechtelijke herstelmaatregel of bestuurlijke maatregel opgelegd. P-score: B, G-score:
Type vastgoed Grond
Prijs Op aanvraag