Te koop Bouwgrond

Beschrijving van   

Vergelijk realty's

Te koop Bouwgrond

Bouwgrond
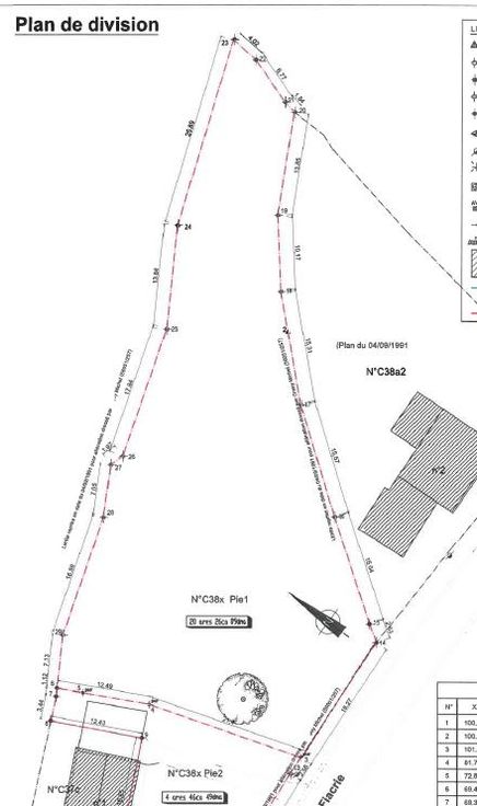
Terrain à bâtir Superficie 20 ares 26 centiares. Très joli quartier calme
Type vastgoed Grond
Prijs 40.000