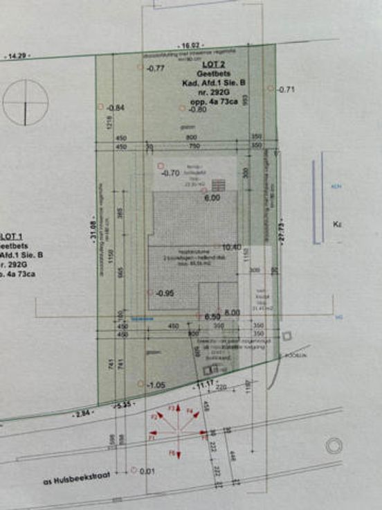
Te koop Bouwgrond voor open bebouwing - lot 2 op plan

Beschrijving van   

Vergelijk realty's

Te koop Bouwgrond voor open bebouwing - lot 2 op plan

Bouwgrond voor open bebouwing - lot 2 op plan Bouwgrond voor open bebouwing - lot 2 op plan Bouwgrond voor open bebouwing - lot 2 op plan Bouwgrond voor open bebouwing - lot 2 op plan
Bouwgrond (lot 2) gelegen in een groene landelijke omgeving. Bouwplannen zijn goedgekeurd en inbegrepen, er kan dus dadelijk gestart worden met de bouw.De tuin is voorzien op het zuiden waar het aangenaam vertoeven is. Contacteer uw makelaar - Nico DI TARANTO - nico@altro-vastgoed.be - download de plannen op www.altro-vastgoed.be voor afmetingen
Type vastgoed Grond
Prijs 160.000