Te koop Twee mooie percelen bouwgrond voor open be...

Beschrijving van   

Vergelijk realty's

Te koop Twee mooie percelen bouwgrond voor open bebouwing

Twee mooie percelen bouwgrond voor open bebouwing
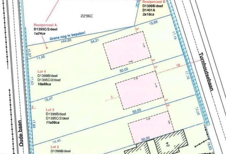
Twee mooie percelen bouwgrond voor open bebouwing gelegen te Tessenderlo, Turnhoutsebaan. De loten zijn zowel vooraan als achteraan bereikbaar. Verder is er een goede verbinding naar zowel de E313 als de E314. Extra pluspunt: Gelegen nabij het natuurdomein Merodebossen. Lot 3: perceel bouwgrond met een oppervlakte van 11a 58ca. Gekadastreerd sectie D, nr 1738CP0000. Vergunning gereikt: 2017: verkaveling - gelegen in woongebied met landelijk karakter en agrarisch gebied - geen voorkooprecht - geen erfgoed - watertoets: P-Score: A, G-Score: ONB, geen risicozone voor overstromingen - geen watergevoelig openruimtegebied - gelegen in het bijzonder plan van aanleg: Achterheide Lot 4: perceel bouwgrond met een oppervlakte van 10a 89ca. Gekadastree 1738DP0000. Vergunning gereikt: 2017: verkaveling - gelegen in woongebied met landelijk karakter en agrarisch gebied - geen voorkooprecht - geen erfgoed - watertoets: P-Score: A, G-Score: ONB, geen risicozone voor overstromingen - geen watergevoelig openruimtegebied - gelegen in het bijzonder plan van aanleg: Achterheide Vraagprijs: 160.000 euro per lot P score: A
Type vastgoed Grond
Prijs 160.000