Te koop Bouwgrond

Beschrijving van   

Vergelijk realty's

Te koop Bouwgrond

Bouwgrond Bouwgrond Bouwgrond Bouwgrond Bouwgrond Bouwgrond Bouwgrond Bouwgrond Bouwgrond Bouwgrond Bouwgrond Bouwgrond
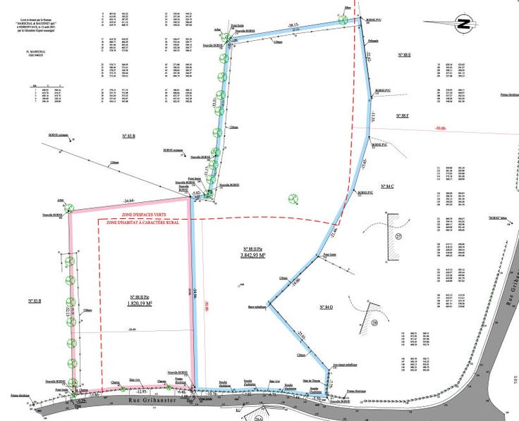
Situé dans un agréable cadre champêtre, magnifique parcelle de terrain +/- 3.842 m² en zone d'habitat à caractère rural et zone d'espaces verts située dans un agréable endroit, le hameau de Grihanster. Largeur façade à rue +/- 32,30 m (puis se rétrécit avant de s'élargir). Libre de constructeur. Le bien ne fait pas partie d'un lotissement, il y aura toutefois lieu de se conformer aux impositions urbanistiques en vigueur. Le bien est repris en bleu sur le plan de géomètre. Adresse: Trooz (Nessonvaux), rue Grihanster, après le numéro 29. Références cadastrales: Trooz, 2ème division, section B, partie du n°88H (précadastration en cours pour le n°88K). Les limitations reprises sur les photos sont approximatives. Informations données à titre ind icatif et non contractuelles. www.waucomont.be
Type vastgoed Grond
Prijs 249.000