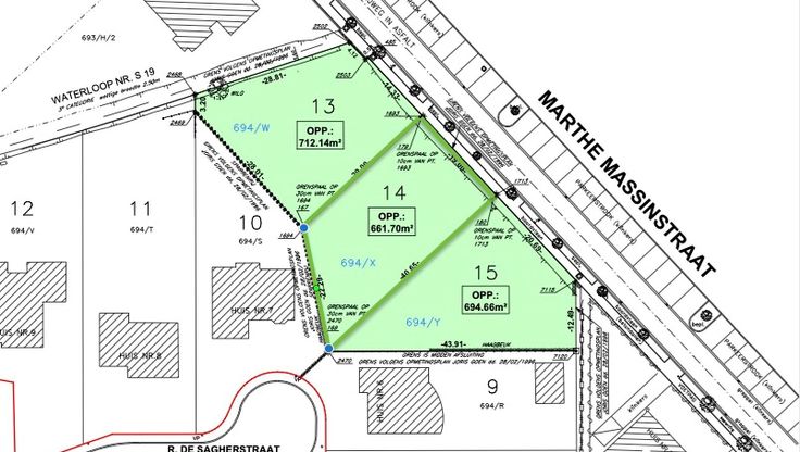
Te koop Bouwgrond voor open bebouwing op 661m2

Beschrijving van   

Vergelijk realty's

Te koop Bouwgrond voor open bebouwing op 661m2

Bouwgrond voor open bebouwing op 661m2 Bouwgrond voor open bebouwing op 661m2 Bouwgrond voor open bebouwing op 661m2 Bouwgrond voor open bebouwing op 661m2
Ben je op zoek naar een ideale plek om je droomhuis te bouwen? Deze bouwgrond van 662 vierkante meter in de Marthe Massinstraat biedt volop mogelijkheden! Gelegen in hartje Sint-Amands op minder als een kilometer van de kaai, dichtbij alle voorzieningen. Alle nutsvoorzieningen zijn reeds aanwezig en is er ook een attest van een sondering beschikbaar! Neem gerust contact met ons op voor meer info. 052/46.38.03
Type vastgoed Grond
Prijs 279.000