Te koop Bouwgrond

Beschrijving van   

Vergelijk realty's

Te koop Bouwgrond

Bouwgrond Bouwgrond Bouwgrond Bouwgrond
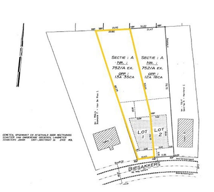
Mooi perceel bouwgrond voor half open bebouwing gelegen aan Biesakker te Balen. Grootte perceel maar liefst 1335 m²! Max. bouwbreedte: ca. 8,68 m Max. bouwdiepte: ca. 20 m Aan de snelle beslissers ! Bouwvoorschriften zijn in aanvraag. Bijkomende inlichtingen te verkrijgen via ons kantoor 014 72 83 77 of rechtstreeks via dossierbeheerder Jasmine Tegenbos 0497 64 76 60.
Type vastgoed Grond
Prijs 139.000