Te koop Bouwgrond 5a11ca voor halfopen bebouwing, ...

Beschrijving van   

Vergelijk realty's

Te koop Bouwgrond 5a11ca voor halfopen bebouwing, zuidgericht & op c

Bouwgrond 5a11ca voor halfopen bebouwing, zuidgericht & op c Bouwgrond 5a11ca voor halfopen bebouwing, zuidgericht & op c Bouwgrond 5a11ca voor halfopen bebouwing, zuidgericht & op c Bouwgrond 5a11ca voor halfopen bebouwing, zuidgericht & op c Bouwgrond 5a11ca voor halfopen bebouwing, zuidgericht & op c Bouwgrond 5a11ca voor halfopen bebouwing, zuidgericht & op c
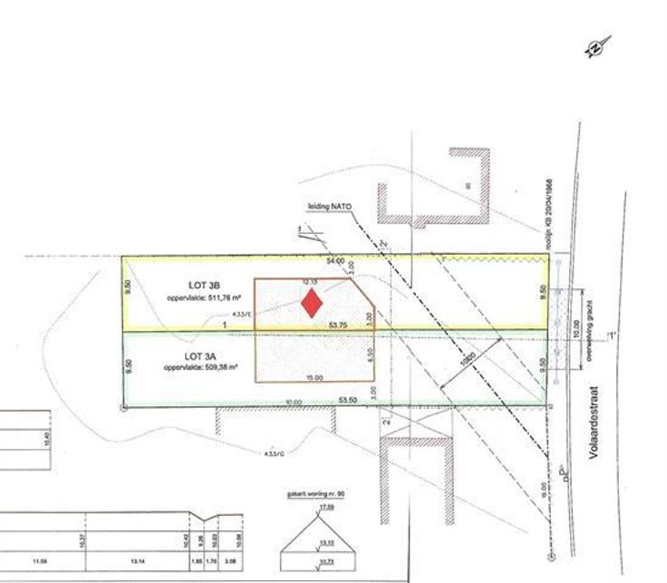
In de Volaardestraat tussen Lebbeke en Dendermonde bevindt deze bouwgrond op een mooi perceel van 5a11ca, gelegen op een strategische ligging dichtbij winkels, scholen en openbaar vervoer. Bouwvoorschriften: bouwdiepte 15m op gelijkvloers, 12m op verdiep, bouwvrije stroken minimaal 3m, minimale voorgevelbreedte 6,5m, bouwhoogte tot kroonlijst is maximaal 6,5m (vanaf vloerpijl), kroonlijsthoogte, dakhelling en nokhoogte aansluitend met aanpalende woning. TROEVEN: mooi perceel, zuidgericht, centrale ligging. Vragen of meer info? Contacteer IMMO TROEF: 052 52 52 00 of info@immotroef.be
Type vastgoed Grond
Prijs Op aanvraag