Te koop Bouwgrond

Beschrijving van   

Vergelijk realty's

Te koop Bouwgrond

Bouwgrond Bouwgrond Bouwgrond Bouwgrond Bouwgrond Bouwgrond Bouwgrond Bouwgrond Bouwgrond Bouwgrond Bouwgrond Bouwgrond
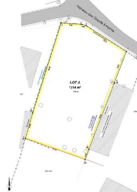
Magnifique parcelle en zone d'habitat à caractère rural, située dans un des quartiers les plus recherché de Blandain. De par le cadre champêtre et la proximité de la ville et des axes routiers, ce terrain de 12 ares et de 27 mètres de façade à rue est idéal pour y construire une superbe villa ! L'égout et les impétrants sont présents dans la rue. Nous avons , à disposition en agence, toutes les informations urbanistiques du secteur. Le terrain est plat, légèrement en surplomb de la route , c'est idéal comme situation. Nous pouvons vous proposer un avant-projet sur mesure ou vous pouvez acquérir le terrain seul. Contactez-nous au : 0470 05 04 52
Type vastgoed Grond
Prijs 139.000