Te koop Magazijn

Beschrijving van   

Vergelijk realty's

Te koop Magazijn

Magazijn Magazijn Magazijn Magazijn Magazijn Magazijn Magazijn Magazijn
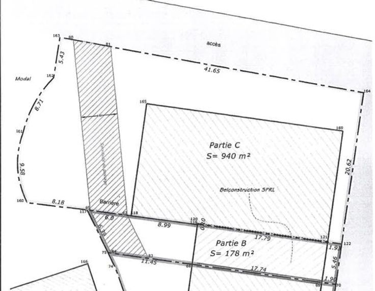
L'espace Immobilier vous présente cet entrepôt de +/- 600 m² érigé sur deux niveaux et sur une parcelle de +/- 11 ares. Situé dans l'ensemble industriel : "Technopole Renaissance Vilette" à Marchienne-Au-Pont. Composition : - Rez-de-chaussée : 2 grands espaces de +/- 300m² et de +/-90 m², espace bureaux ( avec poele à pellet ), cuisine, sanitaires séparés. - Premier étage : espace de stockage de +/- 150 m². - Places de parking RC : 1186 euros. Toutes les offres reçues sont soumises à l'acceptation du propriétaire. Les superficies ne sont mentionnées qu'à titre indicatif. Publicité à caractère non-contractuelle.
Type vastgoed Commercieel
Prijs 325.000
Bewoonbare opp. 600