Te koop Bouwgrond

Beschrijving van   

Vergelijk realty's

Te koop Bouwgrond

Bouwgrond Bouwgrond Bouwgrond Bouwgrond Bouwgrond Bouwgrond Bouwgrond Bouwgrond Bouwgrond Bouwgrond
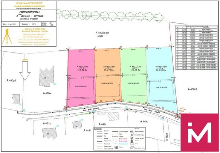
A vendre, terrain à bâtir d'une superficie de 1173m², étant le LOT 2 du lotissement composé de 4 lots, situé dans le magnifique village de Rivière, sur les hauteurs, d'où vous allez pouvoir apprécier la vue dégagée sur la Vallée. Orientation: Arrière Sud. Le terrain est viabilisé: eau/électricité/téléphone/égouts. Les prescriptions urbanistiques et les différents plans sont disponibles sur notre site www.ideesimmo.be sous "Documents à télécharger" au bas de la description du terrain. Participation dans les frais d'acte d'urbanisation: 799,35 EUR TVAC. Plus d'informations au 081/26 26 09 ou via info@ideesimmo.be.
Type vastgoed Grond
Prijs 115.000