Te koop Perceel bouwgrond 361 m² (eengezinswoning)...

Beschrijving van   

Vergelijk realty's

Te koop Perceel bouwgrond 361 m² (eengezinswoning) nabij centrum

Perceel bouwgrond 361 m² (eengezinswoning) nabij centrum Perceel bouwgrond 361 m² (eengezinswoning) nabij centrum Perceel bouwgrond 361 m² (eengezinswoning) nabij centrum Perceel bouwgrond 361 m² (eengezinswoning) nabij centrum
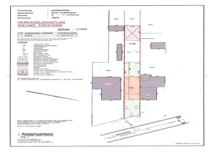
info 0486/61.30.50 Gunstig gelegen, nabij centrum in een doodlopende straat, perceel bouwgrond met een opp. van 361 m² - 6,17 m aan de straat - 65m diep - Geen bouwverplichting – Zone : woongebied; complementaire nevenfuncties : handel, horeca, kantoren en diensten en openbare en private nuts- en gemeenschapsvoorzieningen Bouwmogelijkheden: dakvorm :zadeldak; Kempisch profiel bouwdiepte max 17m-13m-9m.(schetsen zijn ter illustratie) - Bouwhoogte: nok max.10,46m - Ideale belegging zonder risico - centrum op 500 m - Gvg-Vv-Wg-Gdv-Gvkr-   Renovatieplicht: onbekend
Type vastgoed Grond
Prijs 118.500