Te koop Bouwgrond

Beschrijving van   

Vergelijk realty's

Te koop Bouwgrond

Bouwgrond Bouwgrond Bouwgrond Bouwgrond Bouwgrond Bouwgrond Bouwgrond Bouwgrond Bouwgrond Bouwgrond
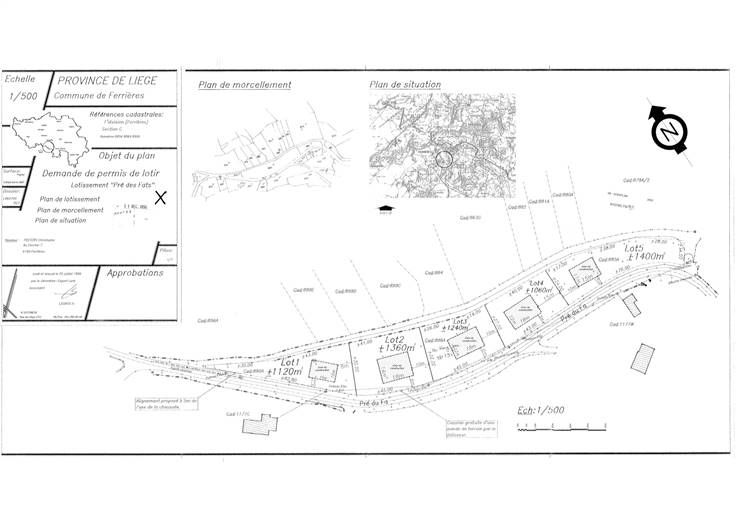
MCA Immobilier biedt deze bouwkavel van 1.360 m² aan in het centrum van Ferrières, dicht bij alle voorzieningen (winkels, scholen, enz.). Dit terrein, dat iets van de weg afligt, is ideaal voor een bouwproject van twee woningen (bouwvergunning geldig)! Elektriciteit en water zijn beide beschikbaar in de straat. Geïnteresseerd in dit perceel? Neem contact met ons op om plannen en specificaties te ontvangen: 086/32.36.76 of info@immomca.be
Type vastgoed Grond
Prijs 99.000