Te koop Handelszaak

Beschrijving van   

Vergelijk realty's

Te koop Handelszaak

Handelszaak Handelszaak Handelszaak Handelszaak Handelszaak Handelszaak Handelszaak Handelszaak Handelszaak Handelszaak Handelszaak
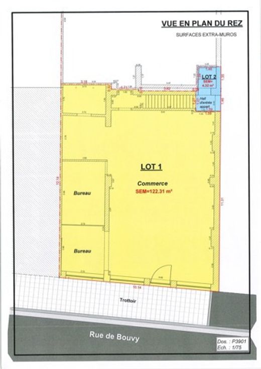
Sous Option. L'Immobilière 'Flash Horizon' vous propose à la vente sur la commune de La Louvière (7100), cette belle surface commerciale de +/-120m² + cave  - (Lot 1 au plan de Géomètre) - idéale pour profession libérale, agence titres-services ou tout autre commerce. Actuellement libre d'occupation; le bien se compose: d'une grande surface très lumineuse avec 2 belles vitrines et de 3 pièces supplémentaires. Commodités: Cave de +- 120m², localisation idéale, facilité de parking gratuit, chauffage mazout , double vitrage, volets électriques & air conditionné. Cette belle surface vous comblera par sa situation idéale & sa proximité directe de toutes facilités (commerces, axes routiers importants,...)-> une visite s'impose ! Prix: Faire Offre à partir de 69.000 € (sous réserve de l 'acceptation des propriétaires) Renseignements, Dossier Géomètre & Visites : Fl.H Immo - 064/67.61.93 - www.flash-horizon.be. Consultez nous également sur nos pages Facebook & Youtube: "Flash Horizon"
Type vastgoed Commercieel
Prijs 69.000
Bewoonbare opp. 120