Te koop Nieuwbouwproject te Opwijk

Beschrijving van   

Vergelijk realty's

Te koop Nieuwbouwproject te Opwijk

Nieuwbouwproject te Opwijk Nieuwbouwproject te Opwijk Nieuwbouwproject te Opwijk Nieuwbouwproject te Opwijk Nieuwbouwproject te Opwijk Nieuwbouwproject te Opwijk
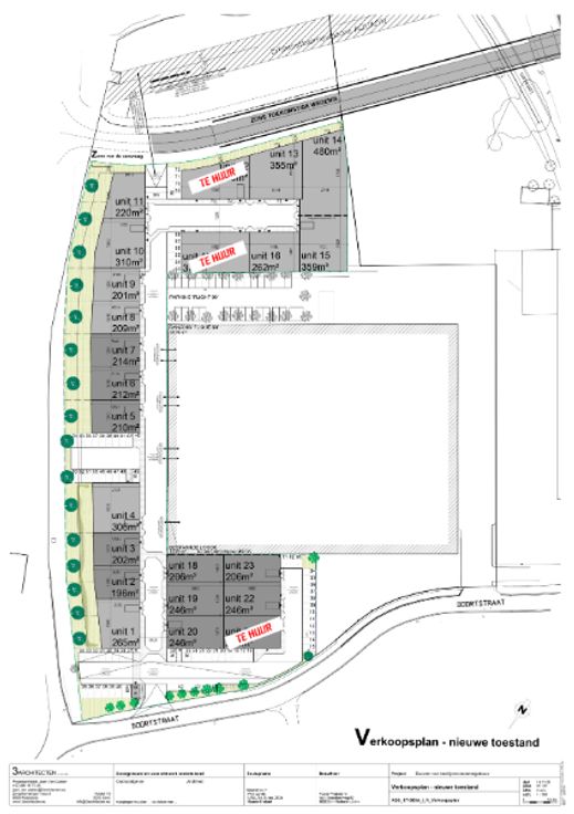
Laatste beschikbare unit van 480 m². Opwijk Business Park is een nieuw industrieterrein dat met KMO units vanaf 200 m² toekomt aan de nood aan kleinere bedrijfsgebouwen in de regio van Opwijk. De units zijn gelegen op slechts 6 minuten van de N47 richting Brussel en Dendermonde. Parkeerplaatsen zijn apart bij te kopen. Contacteer Gaëtan voor meer info of een vrijblijvend plaatsbezoek op 0477 473 966 Renovatieplicht: onbekend
Type vastgoed Commercieel
Prijs Op aanvraag