Te koop Centraal gelegen bouwgrond met zuidelijke ...

Beschrijving van   

Vergelijk realty's

Te koop Centraal gelegen bouwgrond met zuidelijke oriëntering

Centraal gelegen bouwgrond met zuidelijke oriëntering Centraal gelegen bouwgrond met zuidelijke oriëntering Centraal gelegen bouwgrond met zuidelijke oriëntering Centraal gelegen bouwgrond met zuidelijke oriëntering Centraal gelegen bouwgrond met zuidelijke oriëntering Centraal gelegen bouwgrond met zuidelijke oriëntering Centraal gelegen bouwgrond met zuidelijke oriëntering
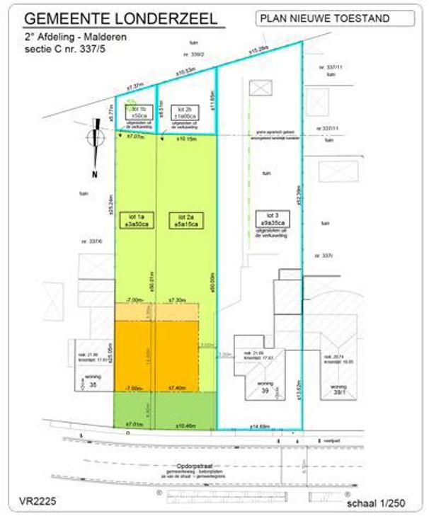
Centraal en rustig gelegen bouwgronden met zuidelijke oriëntering in Malderen. De verkaveling bestaat uit 2 percelen voor een gesloten en een half-open bebouwing. Lot 1A + 1B betreft het lot voor gesloten bebouwing en heeft een totale oppervlakte van 4 are. Lot 2A + 2B betreft het lot voor half-open bebouwing en heeft een totale oppervlakte van 6 are 15 ca. De bouwdiepte bedraagt maximaal 15 meter op het gelijkvloers en maximaal 12 meter op de verdieping. Vraagprijs voor lot 1A + 1B = 160.000 euro. Vraagprijs voor lot 2A + 2B = 250.000 euro. Omgevingsvergunning voor het verkavelen van gronden werd reeds verleend. Voor meer info kan u ons bereiken via info@arthur.be
Type vastgoed Grond
Prijs 250.000