Te koop Bouwgrond

Beschrijving van   

Vergelijk realty's

Te koop Bouwgrond

Bouwgrond
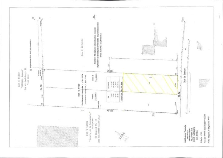
Terrain à bâtir idéalement situé à Kain, 8 a 74 ca, façade 17,56 m. Possibilité achat 2 lots identiques.
Type vastgoed Grond
Prijs 132.000