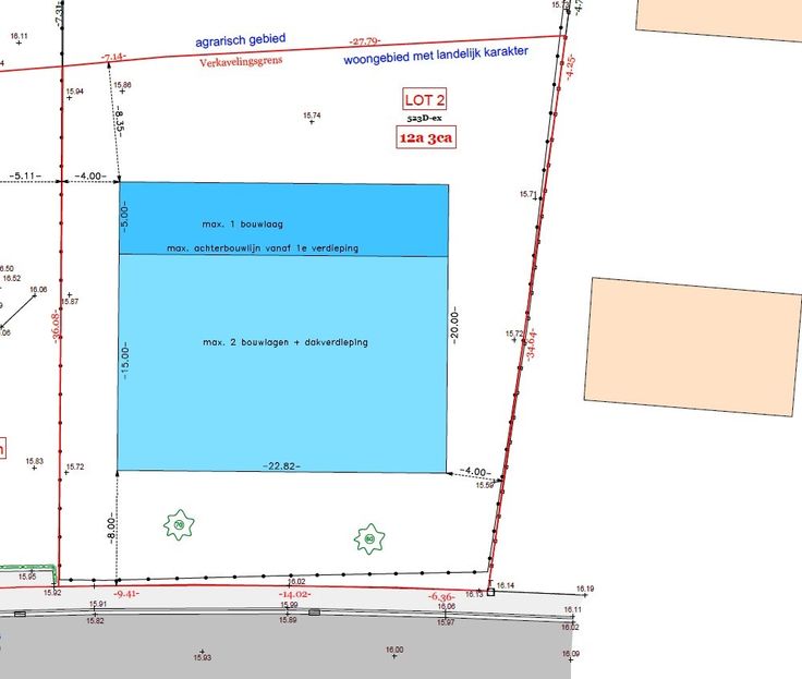
Te koop Bouwgrond te koop op 1203 m² in Wielsbeke!

Beschrijving van   

Vergelijk realty's

Te koop Bouwgrond te koop op 1203 m² in Wielsbeke!

Bouwgrond te koop op 1203 m² in Wielsbeke! Bouwgrond te koop op 1203 m² in Wielsbeke! Bouwgrond te koop op 1203 m² in Wielsbeke!
Bouwgrond te koop op 1203 m² in Wielsbeke! Mogelijkheid tot het bouwen van een koppelwoning. De te bouwen woning mag niet dieper komen dan de woning links van de bouwgrond (nr 224)
Type vastgoed Grond
Prijs 290.000