Te koop Bouwgrond

Beschrijving van   

Vergelijk realty's

Te koop Bouwgrond

Bouwgrond Bouwgrond Bouwgrond Bouwgrond Bouwgrond Bouwgrond
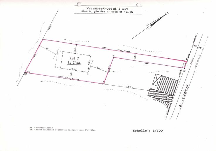
A saisir ! FR Terrain de fond à bâtir de 9 ares 31 ca. Idéalement situé à l’entrée de Bruxelles, à proximité des écoles, des commerces et des transports en commun ainsi que du magnifique golf du National et du David Lloyd. Le terrain est plat et comprend plusieurs beaux arbres situés en périphérie de celui-ci. L’exposition est idéale pour profiter du soleil toute l’année. La zone construisible comprend une longueur de 15 m et une largeur de 8,7 m. Les prescriptions urbanistiques ainsi que le plan d'implantation sont à disposition des candidats. NL Bouwgrond van 9 are 31 ca. Ideaal gelegen bij de ingang van Brussel, dicht bij scholen, winkels en openbaar vervoer, evenals de prachtige National golf en David Lloyd. Het perceel is vlak en heeft verschillende mooie bomen rond de rand. De ligging is ideaal om het hele jaar door van de zon te genieten. De bebouwbare oppervlakte is 15 m lang en 8,7 m breed. De bouwvoorschriften en de plattegrond zijn beschikbaar voor aanvragers. ENG Building plot of 9 ares 31 ca. Ideally located at the entrance to Brussels, close to schools, shops and public transport, as well as the magnificent National and David Lloyd golf courses. The plot is flat and includes several beautiful trees on the periphery. The exposure is ideal for year-round sunshine. The buildable area is 15 m long and 8.7 m wide. Planning regulations and a site plan are available to applicants. tel : 0475842295
Type vastgoed Grond
Prijs 550.000