Te koop Te koop ruime bouwgrond Izegem

Beschrijving van   

Vergelijk realty's

Te koop Te koop ruime bouwgrond Izegem

Te koop ruime bouwgrond Izegem Te koop ruime bouwgrond Izegem Te koop ruime bouwgrond Izegem Te koop ruime bouwgrond Izegem
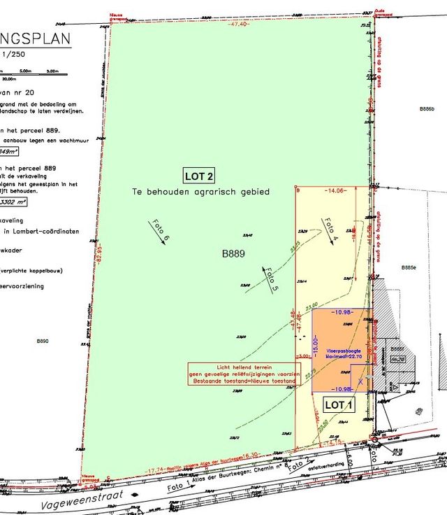
Ruim perceel bouwgrond voor een halfopen bebouwing met een totale oppervlakte van 3.951 m² (naast huisnr 20). Bouwkader van 11m bouwbreedte en 15m bouwdiepte. Zicht op de achterliggende landbouwgronden en mogelijk bewoonbare oppervlakte van ruim 300 m². Totale breedte perceel van 53m en 83m diepte. Zonder bouwverplichting. Renovatieplicht: onbekend
Type vastgoed Grond
Prijs 259.000