Te koop Perceel bouwgrond voor open bebouwing te W...

Beschrijving van   

Vergelijk realty's

Te koop Perceel bouwgrond voor open bebouwing te Waasmunster.

Perceel bouwgrond voor open bebouwing te Waasmunster. Perceel bouwgrond voor open bebouwing te Waasmunster. Perceel bouwgrond voor open bebouwing te Waasmunster. Perceel bouwgrond voor open bebouwing te Waasmunster. Perceel bouwgrond voor open bebouwing te Waasmunster. Perceel bouwgrond voor open bebouwing te Waasmunster. Perceel bouwgrond voor open bebouwing te Waasmunster. Perceel bouwgrond voor open bebouwing te Waasmunster. Perceel bouwgrond voor open bebouwing te Waasmunster.
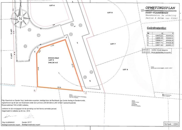
Deze prachtige bouwgrond ZONDER BOUWVERPLICHTING is gelegen, in een zeer rustige verkaveling en is geschikt voor open bebouwing ideaal voor wie op zoek zijn naar een rustige en groene omgeving om in te wonen. De ligging van de bouwgrond in Waasmunster is ideaal voor wie houdt van natuur en rust, maar tegelijkertijd ook dichtbij voorzieningen zoals winkels, scholen en openbaar vervoer. Bovendien zijn er tal van wandel- en fietsroutes in de omgeving, waardoor je optimaal kunt genieten van de prachtige natuur. Kortom, dit perceel met een perceeloppervlakte van 346.00 is een ideale plek voor gezinnen die op zoek zijn naar een comfortabele en rustige woonomgeving.
Type vastgoed Grond
Prijs 195.000