Te huur Openlucht parkeerplaats

Beschrijving van   

Vergelijk realty's

Te huur Openlucht parkeerplaats

Openlucht parkeerplaats
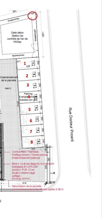
5 emplacements de parking Libre de suite ! 25€/par emplacement Pour plus d'information : cbe@sowaer.be
Type vastgoed Garage
Prijs 25