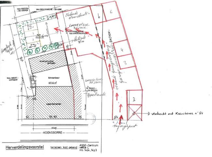
Te koop immo DAVID stelt voor: 5 garages en 4 staa...

Beschrijving van   

Vergelijk realty's

Te koop immo DAVID stelt voor: 5 garages en 4 staanplaatsen te Asse

immo DAVID stelt voor: 5 garages en 4 staanplaatsen te Asse immo DAVID stelt voor: 5 garages en 4 staanplaatsen te Asse immo DAVID stelt voor: 5 garages en 4 staanplaatsen te Asse immo DAVID stelt voor: 5 garages en 4 staanplaatsen te Asse
Zeer centraal gelegen garageboxen (5) en staanplaatsen (4). Bereikbaar via een doorgang (Koensborre n° 54) met gemeenschappelijke ingang via elektrische poort, waardoor Uw voertuig altijd veilig staat. Ideaal voor investering! Mogelijkse netto return on investment van 3%/jaar. Verkoopbaar enkel bij definitieve verkoop van de woning gelegen Koensborre n° 56 te Asse!
Type vastgoed Garage
Prijs 210.000