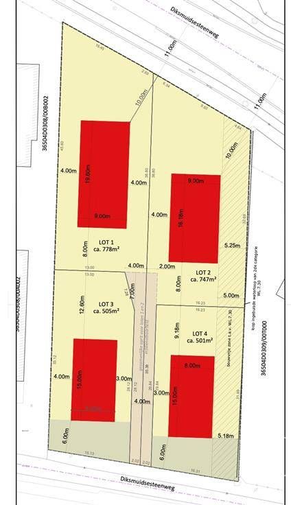
Te koop COMMERCIEEL gelegen GROND met POTENTIEEL (2959m2)!
SUPER GELEGEN BOUWGROND van 2959m2! Straatbreedte van 35m, geeft uit op 2 straten. Ideaal voor ZELFSTANDIGEN of VRIJE BEROEPEN: GEZINSWONING + uitbreiding van 30% voor handel, diensten en kantoren, of als PROJECT: reeds verkaveld in 4 loten. Meer info IMMO BEGUIN: 0486 606 600.