Te koop Bouwgrond te koop in Putte!

Beschrijving van   

Vergelijk realty's

Te koop Bouwgrond te koop in Putte!

Bouwgrond te koop in Putte! Bouwgrond te koop in Putte! Bouwgrond te koop in Putte! Bouwgrond te koop in Putte!
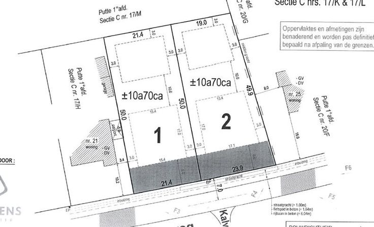
Mooie brede bouwgrond te koop in Putte! Een prachtig perceel bouwgrond van 10 are 70 ca. Landelijk en in het groen. Goede bereikbaarheid richting Antwerpen en Brussel. Op een boogscheut van de R6. Maximale bouwdiepte 17 m en maximale breedte 17,10 m!! Lot 2 op het plan. Mogelijkheid om de achterliggende grond deels of volledig mee aan te kopen. Wil jij hier je nieuwe thuis bouwen? Mail dan naar info@future-home.be of bel ons op 016 90 10 21. Woongebied met landelijk karakter, Vergunning, Geen voorkooprecht, Geen dagvaarding, Verkavelingsvergunning, Geen watertoets
Type vastgoed Grond
Prijs 240.000